I’ve been lucky enough recently to try out some of the portfolio of Boutique Brands, which includes G’Vine gin, Atlantico rum and Roberto Cavalli vodka. But the most unusual spirit they offer is something named Esprit de June, a liqueur created in France and can consider itself the only liqueur produced with the vine-flowers of Ugni Blanc, Merlot, Cabernet Sauvignon and other grape varietals, that blossom for only a few days in June. The added rarity to the ingredients, coupled with what can only be described as a fantastically styled bottled, makes Esprit de June one of the most sought out liqueurs for a bartender.
So how is this liqueur created?

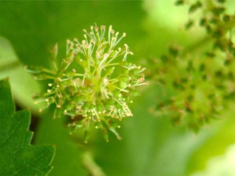
The first step is the Vine Flower Harvest. In June, tiny white flowers bloom on the vines for just a couple of days. Their birth is a critical moment after a year-long meticulous care that’s given to the vineyard. These rare flowers are so delicate they can only be picked by hand, and must be harvested immediately.
Hand cut from the vine, the flowers are carefully transported in traditional wooden baskets. The vine flowers are then delicately collected in woven fiber “tea bags”. These “tea bags”, each containing different types of vine flowers, are steeped in artisanal grape neutral spirit for several days to extract their unique flavours.
When all the flavour has been extracted, the grape neutral spirit, now infused with vineflower, is strained off and distilled in a Florentine pot still, the same kind used by master perfume makers. The result is an Esprit, the utmost concentrations of the vine flower. These will be the only vine-flower distillates for a whole year, so they are stored in special vats.
Following an undisclosed recipe, these Ugni-blanc (creates pear, peach and white floral notes), Merlot (wild strawberry and cherry-blossom) and Cabernet-Sauvignon (strawberry, raspberry and violet) vine flower distillates are blended together, before being distilled a final time to perfectly unify their flavours. The use of other vine flowers such as Folle Blanche and Sauvignon Blanc allows the master distiller to guaranty Esprit de June’s flavor profile year after year despite the vintage effect. With the addition of the bare minimum of sugar, Esprit de June is born.
Esprit de June – 28%
A perfumed mix of rose petals and strawberries with a sweetened edge as it rolls onto the palate. A light, almost non-existent texture, more silky and perfumed is an odd feel, but a long-lasting after-taste that has you craving for more.
Esprit de June is a versatile spirit, with its uniqueness and surprising offering on the nose and palate distinguishing itself away from the usual brands and with the recipes below, it shows that both men and women can enjoy.
June Buck
Glass –
Rocks
Ingredients –
45ml Scotch whisky or VSOP Cognac
25ml Esprit de June
Method –
Pour into an ice-filled glass and top with freshly-opened good-quality ginger ale. Stir briefly.
June & Wine
Glass –
Wine
Ingredients –
135ml red wine or chilled, dry white wine
45ml Esprit de June liqueur
Method –
First pour the wine (slightly less than a normal serving) then add the Esprit de June. Stir briefly.
Check out my Facebook page for more images of Esprit de June
© David Marsland and Drinks Enthusiast 2012. Unauthorized use and/or duplication of this material without express and written permission from this blog/sites author and owner is strictly prohibited. Excerpts and links may be used, provided that full and clear credit is given to David Marsland and Drinks Enthusiast with appropriate and specific direction to the original content.




Where can I purchase a bottle of Esprit de June ?